Działki budowlane - WIELKA PROMOCJA!!!
Sorkwity Pokaż na mapie ›
Dodane: Sobota, 28 Luty, 2026 04:39
138 000 zł
Szczegóły ogłoszenia
- Kategoria: Działki i grunty / Sprzedaż
- Sprzedaż:Pośrednik
- Cena: 138 000 zł
Opis oferty
Oferta dodana za pomocą Multiportalu BeBrokerNIERUCHOMOŚCI TO DZIŚ NAJBARDZIEJ BEZPIECZNA LOKATA TWOICH PIENIĘDZY
UWAGA!!! WSZYSTKIE DZIAŁKI POSIADAJĄ AKTUALNE DECYZJE O WARUNKACH ZABUDOWY I NIE UTRACĄ PRAWA ZABUDOWY PO 30 CZERWCA 2026R.
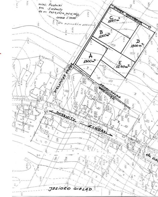
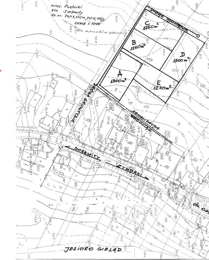
Miejscowość PUSTNIKI koło Sorkwit, nad jeziorem Gielądzkim.
Trzy działki budowlane, które mogą być przedmiotem sprzedaży pojedynczo, z przeznaczeniem na budowę budynków mieszkalnych (całorocznych lub letniskowych) lub w całości albo po dwie, trzy, pod budowę pensjonatu. Na załączonej mapie działki wg nowego podziału przeprowadzonego w roku 2017 oznaczone zostały literami A, B, C, D i E. Działki B i C zostały sprzedane.
UWAGA!!! WIELKA PROMOCJA!!! Przy zakupie dwóch lub trzech działek wielkie rabaty. Np:
1. Kupno dwóch działek - działki A za 143 000 zł plus działka D lub E z ceną obnizoną o 20%. Cena wynosi 143 000 + 100 000 = 243 000 zł (a nie 268 000, czyli mniej o 25 tysięcy)
2. Kupno trzech działek - działki A za 143 000 zł plus działka D za cenę obniżoną o 20%, oraz działką E za cenę obniżoną aż o 30%.
Cena łączna wynosi 156 000 + 113 000 + 96 000 = 330 000 zł (a nie 398 000, czyli mniej o 68 tysięcy).
Ceny działek bez promocji:
Działki A, nr 177/3, o pow. 1300 m2, 110 zł/m2, 143 000 zł
Działki B, nr 177/4, o pow. 1250 m2. sprzedana
Działka C nr 177/5 – o pow. 1250 m2, sprzedana
Działka D, nr 177/1, o pow. 1280m2, w cenie 100 zł/m2, 128 000 zł za działkę.
Działka E, nr177/2, o pow. 1250m2, w cenie 100 zł/m2, 125 000 zł za działkę
Jest to cena brutto, z VAT-em.
Działki położone są przy drodze gruntowej odchodzącej od drogi gminnej asfaltowej prowadzącej z Sorkwit do wsi Zyndaki.
Naprzeciw drogi gruntowej, po drugiej stronie drogi asfaltowej jest posesja zaprzyjaźnionego gospodarza, który udostępnia dla nabywców moich działek (docelowo 5 rodzin) dostęp do jeziora z małą plażą i pomostem. Odległość do jeziora 80m.
W odległości 200 m w kierunku Zyndak znajduje się plaża gminna z drewnianym pomostem, boisko i plac zabaw i sklep spożywczy.
Dla wszystkich działek, zgodnie z nowym podziałem, wydane zostały decyzje o warunkach zabudowy na budowę na każdej działce budynku mieszkalnego. Klasa gruntu IV a i IV b, nie wymaga wyłączenia z produkcji rolnej.
Odległość Pustnik do Sorkwit – 3,5 km, odległość do Mrągowa - 14 km, do Olsztyna – 60 km.
Uzbrojenie. Linia energetyczna kablowa i kanalizacja sanitarna przebiegają w drodze gruntowej, przy granicy działek. Przy wschodniej granicy działki A przebiega wodociąg gminny.
Jezioro Gielądzkie - posiada dobrze rozwinięte brzegi z zatokami i półwyspami oraz urozmaicone pagórkami otoczenie. Na środku duża wyspa Ostrów Wielki oraz kilka mniejszych z miejscami gniazdowania ptaków. Występujące gatunki ryb to m.in. płoć, sandacz, leszcz, szczupak, węgorz, lin . Od strony północnej jezioro Gieladzkie łączy się z jeziorem Zyndaki, a od południa z jeziorem Lampackim. Jest to początek najpiękniejszego w Polsce szlaku kajakowego Krutyni. Powierzchnia jeziora - 444 ha, powierzchnia wysp - 4ha, głębokość maksymalna-27m, głębokość średnia - 6,8m, długość - 6800m, szerokość -1650m, długość linii brzegowej -20220m.
- Jezioro Pustnik Mały - położone po północnej stronie Pustnik, ok. 1 km od działki, łączy się z jeziorem Gielądzkim. Brzegi jeziora wysokie i strome otoczone polami. Jest to jezioro typowo leszczowe. Powierzchnia jeziora -33,5 ha Głębokość maksymalna - 10,0m, głębokość średnia- 3,9m, długość - 1400m, szerokość - 450m, długość linii brzegowej - 3250m.
Telefon: 601 - pokaż numer telefonu -
Sprawdź zainteresowanie tym ogłoszeniem
Wyświetlenia
Data dodania
Ostatnio widziany
Obserwujących
Wysłane zapytania
Odsłony telefonu
- Wypromuj ogłoszenie
- Zgłoś naruszenie
- Drukuj ulotkę
- Edytuj/usuń ogłoszenie
- Udostępnij ogłoszenie
- Dodaj na Facebook













